Brisbane Diving
You may also like
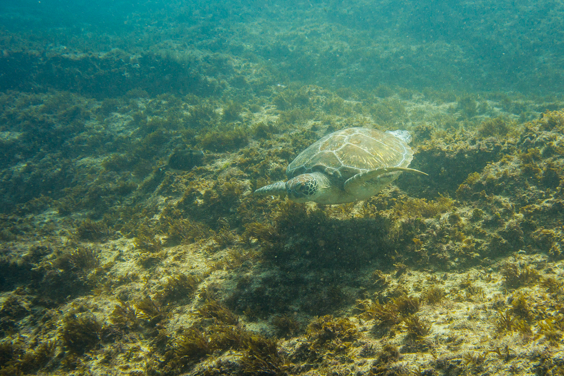
Roatan Diving 2018 - Best Of
2018
Channel Islands Diving
2018
Kona July 2017
2018
↑
Back to Top